Lot 112 2023 FORD F150 XL Pickup Truck
2023 FORD F150 XL Pickup Truck
4x4, crew cab, V8 gas, A/T
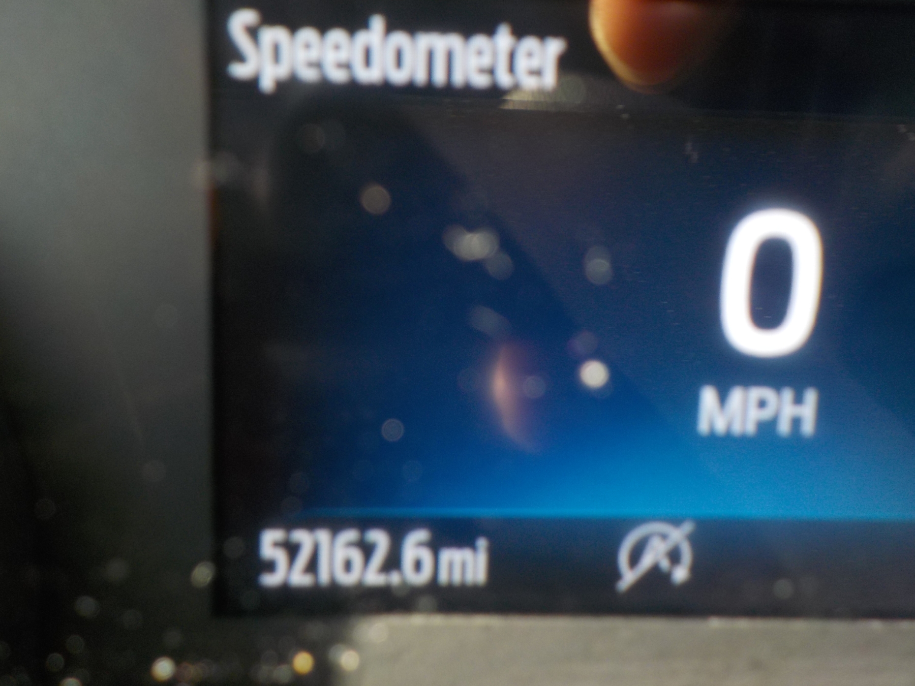
Mileage: 52,163
Vehicle ID Number: 1FTFW1E55PKG00448
Year/Model Verified
This Item is On Yard.
4x4, crew cab, V8 gas, A/T
Mileage: 52,163
Vehicle ID Number: 1FTFW1E55PKG00448
Year/Model Verified
This Item is On Yard.
Important Notice
Important Update: Change in Wire InstructionsPlease be advised that our wire instructions have been updated. We request that all bidders contact us directly prior to initiating any wire transfers. This will ensure the security and accuracy of your transactions.
Thank you for your attention to this matter.
open_in_full